Baulandumlegung „Breitenflur II”, Königheim
Bekanntmachung der Unanfechtbarkeit des Teilumlegungsplanes II „Breitenflur II“ nach § 71 BauGB
Gemeinde: Königheim
Landkreis: Main-Tauber-Kreis
Umlegungsausschuss: „Breitenflur II“
Umlegung: „Breitenflur II“
Gemarkung: Königheim
Der Teilumlegungsplan II für das Umlegungsgebiet „Breitenflur II“, bestehend aus Umlegungskarte und Umlegungsverzeichnis für die ON 2, der durch Beschluss des Umlegungsausschusses „Breitenflur II“ der Gemeinde Königheim vom 17.07.2024 aufgestellt wurde, ist am 16.10.2024 für die Flurstücke der Gemarkung Königheim
Flst. Nr. 14423/4, 14423/6, 16310 und 16311
unanfechtbar geworden.
Mit dieser Bekanntmachung wird nach § 72 des Baugesetzbuches in der Fassung der Bekanntmachung vom 3. November 2017 (BGBl. I S. 3634), das zuletzt durch Artikel 3 des Gesetzes vom 20. Dezember 2023 (BGBl. 2023 I Nr. 394) geändert worden ist, der bisherige Rechtszustand durch den im Teilumlegungsplan II vorgesehenen neuen Rechtszustand ersetzt. Die Bekanntmachung schließt die Einweisung der neuen Eigentümer in den Besitz der zugeteilten Grundstücke ein.
Die Berichtigung des Grundbuchs und des Liegenschaftskatasters wird bei den zuständigen Behörden veranlasst. Bis zur Berichtigung des Grundbuchs ist die Einsicht in den Teilumlegungsplan II jedem gestattet, der ein berechtigtes Interesse darlegt.
Die bisherigen, im Umlegungsverzeichnis als einzuziehend bezeichneten Flächen gelten mit dem Zeitpunkt als eingezogen, in dem sie dem öffentlichen Verkehr entzogen werden. Die neu anzulegenden öffentlichen Flächen gelten mit der endgültigen Überlassung für den Verkehr als gewidmet.
Rechtsbehelfsbelehrung
Gegen diese Bekanntmachung der Unanfechtbarkeit des Teilumlegungsplanes II „Breiten- flur II“ kann binnen sechs Wochen seit der Bekanntgabe Antrag auf gerichtliche Entscheidung bei der Gemeinde Königheim, Kirchplatz 2, 97953 Königheim eingereicht werden (§ 217 BauGB). Über den Antrag entscheidet das Landgericht Karlsruhe, Kammer für Baulandsachen, in Karlsruhe.
Der Antrag muss den Verwaltungsakt bezeichnen, gegen den er sich richtet. Er soll die Erklärung, inwieweit die Bekanntmachung der Unanfechtbarkeit angefochten wird, und einen bestimmten Antrag enthalten. Er soll die Gründe sowie die Tatsachen und Beweismittel angeben, die zur Rechtfertigung des Antrags dienen.
Hinweis: Es wird darauf hingewiesen, dass der Antrag auf gerichtliche Entscheidung ohne Rechtsanwalt gestellt werden kann, dass aber für die weiterführenden prozessualen Erklärungen in der Hauptsache der Antragsteller sich eines vertretungsberechtigten Rechtsanwalts bedienen muss (§ 222 Abs. 3 BauGB).
Königheim, 16.10.2024
gez.
Bürgermeister Ludger Krug
Vorsitzender des Umlegungsausschusses „Breitenflur II“
Bekanntmachung des Beschlusses über die Aufstellung des Teilumlegungsplanes II „Breitenflur II“
Gemeinde: Königheim
Landkreis: Main-Tauber-Kreis
Umlegungsausschuss: „Breitenflur II“
Umlegung: „Breitenflur II“
Gemarkung: Königheim
1. Beschluss über die Aufstellung des Teilumlegungsplanes II
Der Umlegungsausschuss „Breitenflur II“ hat in seiner Sitzung am 17.07.2024 den Teilumlegungsplan II „Breitenflur II“ gemäß § 66 Abs. 1 des Baugesetzbuches (BauGB) in der Fassung der Bekanntmachung vom 03. November 2017 (BGBl. I S. 3634), das zuletzt durch Artikel 3 des Gesetzes vom 20. Dezember 2023 (BGBl. 2023 I Nr. 394) geändert worden ist, für folgende Grundstücke (Flurstücke) der Gemarkung Königheim aufgestellt:
Flst. Nr. 14423/4, 14423/6, 16310 und 16311.
Das Umlegungsgebiet liegt im Bereich des rechtskräftigen Bebauungsplanes „Breitenflur II“.
Der Umlegungsplan besteht aus der Umlegungskarte und dem Umlegungsverzeichnis für die Ordnungsnummer 2.
2. Einsichtnahme in den Teilumlegungsplan II
Der Teilumlegungsplan II kann im Rathaus der Gemeinde Königheim, Kirchplatz 2, 97953 Königheim, während der Dienststunden eingesehen werden. Der Teilumlegungsplan II kann nur von demjenigen und nur insoweit eingesehen werden, als ein berechtigtes Interesse dafür dargelegt wird.
Den Beteiligten wird nach § 70 Abs. 1 BauGB ein ihre Rechte betreffender Auszug aus dem Teilumlegungsplan II zugestellt.
3. Ablauf der Frist für die Anmeldung von Rechten
In der Bekanntmachung der Gemeinde Königheim vom 12.11.2022 über den Umlegungsbeschluss ist zur Anmeldung von Rechten aufgefordert worden. Nach § 48 Abs. 2 Satz 2 BauGB ist die Frist zur Anmeldung von Rechten für die innerhalb des (Teil-)Umlegungsgebietes liegenden Grundstücke mit dem Tag des Beschlusses über die Aufstellung des Teilumlegungsplanes abgelaufen.
Königheim, 19.09.2024
gez. Ludger Krug, Bürgermeister
Vorsitzender des Umlegungsausschusses „Breitenflur II“
Bekanntmachung der Unanfechtbarkeit des Teilumlegungsplanes „Breitenflur II” nach § 71 BauGB
Umlegungsausschuss: „Breitenflur II“
Umlegung: „Breitenflur II“
Gemarkung: Königheim
Der Teilumlegungsplan für das Umlegungsgebiet „Breitenflur II“, bestehend aus Umlegungskarte und Umlegungsverzeichnis für die ON 1, 2, 3 und 5 der durch Beschluss des Umlegungs-ausschusses „Breitenflur II“ der Gemeinde Königheim vom 12.06.2023 aufgestellt wurde, ist am 19.09.2023 für die Flurstücke der Gemarkung Königheim Flst. Nr. 14354, 14510/3 (hiervon ist ein nördlicher Teil mit einer Fläche von 839 m² einbezogen), 14594 (Außengrundstück gem. § 59 Abs.4. BauGB), 14367, 14394, 14393, 14395, 14400, 14363, 14423/5, 14397, 14407, 14361, 14365, 14360/1, 14418, 14362,14364, 14365 und 14366 unanfechtbar geworden.
Mit dieser Bekanntmachung wird nach § 72 des Baugesetzbuches in der Fassung der Bekanntmachung vom 3. November 2017 (BGBl. I S. 3634), das zuletzt durch Artikel 1 des
Gesetzes vom 28. Juli 2023 (BGBl. 2023 I Nr. 221) geändert worden ist, der bisherige Rechtszustand durch den im Teilumlegungsplan vorgesehenen neuen Rechtszustand ersetzt. Die Bekanntmachung schließt die Einweisung der neuen Eigentümer in den Besitz der zugeteilten Grundstücke ein.
Die Berichtigung des Grundbuchs und des Liegenschafts-katasters wird bei den zuständigen Behörden veranlasst. Bis zur Berichtigung des Grundbuchs ist die Einsicht in den Teilumlegungsplan jedem gestattet, der ein berechtigtes Interesse darlegt.
Die bisherigen, im Umlegungsverzeichnis als einzuziehend bezeichneten Flächen gelten mit dem Zeitpunkt als eingezogen, in dem sie dem öffentlichen Verkehr entzogen werden. Die neu anzulegenden öffentlichen Flächen gelten mit der endgültigen Überlassung für den Verkehr als gewidmet.
Rechtsbehelfsbelehrung
Gegen diese Bekanntmachung der Unanfechtbarkeit des Teilumlegungsplanes „Breitenflur II“ kann binnen sechs Wochen seit der Bekanntgabe Antrag auf gerichtliche Entscheidung bei der Gemeinde Königheim, Kirchplatz 2, 97953 Königheim eingereicht werden (§ 217 BauGB). Über den Antrag entscheidet das Landgericht Karlsruhe, Kammer für Baulandsachen, in Karlsruhe.
Der Antrag muss den Verwaltungsakt bezeichnen, gegen den er sich richtet. Er soll die Erklärung, inwieweit die Bekanntmachung der Unanfechtbarkeit angefochten wird, und einen bestimmten Antrag enthalten. Er soll die Gründe sowie die Tatsachen und Beweismittel angeben, die zur Rechtfertigung des Antrags dienen.
Hinweis: Es wird darauf hingewiesen, dass der Antrag auf gerichtliche Entscheidung ohne Rechtsanwalt gestellt werden kann, dass aber für die weiterführenden prozessualen Erklärungen in der Hauptsache der Antragsteller sich eines vertretungsberechtigten Rechtsanwalts bedienen muss (§ 222 Abs. 3 BauGB).
Königheim, den 20.09.2023
gez. Krug, Bürgermeister
Bekanntmachung des Beschlusses über die Aufstellung des Teilumlegungsplanes „Breitenflur II“
Gemeinde: Königheim
Landkreis: Main-Tauber-Kreis
Umlegungsausschuss: „Breitenflur II“
Umlegung: „Breitenflur II“
Gemarkung: Königheim
1. Beschluss über die Aufstellung des Teilumlegungsplanes
Der Umlegungsausschuss „Breitenflur II“ hat in seiner Sitzung am 12.06.2023 den Teilumlegungsplan „Breitenflur II“ gemäß § 66 Abs. 1 des Baugesetzbuches (BauGB) in der Fassung der Bekanntmachung vom 3. November 2017 (BGBl. I S. 3634), das zuletzt durch Artikel 2 des Gesetzes vom 4. Januar 2023 (BGBl. 2023 I Nr. 6) geändert worden ist, für folgende Grundstücke (Flurstücke) der Gemarkung Königheim aufgestellt:
Flst. Nr. 14354, 14510/3 (hiervon ist ein nördlicher Teil mit einer Fläche von 839 m² einbezogen), 14594 (Außengrundstück gem. § 59 Abs.4. BauGB), 14367, 14394, 14393, 14395, 14400, 14363, 14423/5, 14397, 14407, 14361, 14365, 14360/1, 14418, 14362,14364, 14365 und 14366.
Das Umlegungsgebiet liegt im Bereich des rechtskräftigen Bebauungsplanes „Breitenflur II“.
Der Umlegungsplan besteht aus der Umlegungskarte und dem Umlegungsverzeichnis für die Ordnungsnummern 1, 2, 3 und 5.
2. Einsichtnahme in den Teilumlegungsplan
Der Teilumlegungsplan kann im Rathaus der Gemeinde Königheim, Kirchplatz 2 97953 Königheim, während der Dienststunden eingesehen werden. Der Teilumlegungsplan kann nur von demjenigen und nur insoweit eingesehen werden, als ein berechtigtes Interesse dafür dargelegt wird.
Den Beteiligten wird nach § 70 Abs. 1 BauGB ein ihre Rechte betreffender Auszug aus dem Teilumlegungsplan zugestellt.
3. Ablauf der Frist für die Anmeldung von Rechten
In der Bekanntmachung der Gemeinde Königheim vom 12.11.2022 über den Umlegungsbeschluss ist zur Anmeldung von Rechten aufgefordert worden. Nach § 48 Abs. 2 Satz 2 BauGB ist die Frist zur Anmeldung von Rechten für die innerhalb des (Teil-)Umlegungsgebietes liegenden Grundstücke mit dem Tag des Beschlusses über die Aufstellung des Teilumlegungsplanes abgelaufen.
Königheim, 01.08.2023
gez. Bürgermeister Krug
Umlegungsausschuss „Breitenflur II“
I. Umlegungsbeschluss für das
Gebiet: „Breitenflur II“
Gemarkung: Königheim
Der Umlegungsausschuss „Breitenflur II“ der Gemeinde Königheim hat am 02.11.2022 gemäß § 47 Baugesetzbuch (BauGB) in der Fassung der Bekanntmachung vom 3. November 2017 (BGBl. I S. 3634), das zuletzt durch Artikel 11 des Gesetzes vom 8. Oktober 2022 (BGBl. I S. 1726) geändert worden ist, nach Anhörung der Eigentümer die Durchführung einer Umlegung beschlossen.
Das Gebiet wird begrenzt
im Norden: durch die außerhalb der Umlegung liegenden Grundstücke Flst. Nr. 14360 und 14346;
im Osten: durch das teilweise einbezogene Weggrundstück Flst. Nr. 14354 und das teilweise einbezogene Straßengrundstück Flst. Nr. 14510/3 („Breitenflur“);
im Süden: durch das teilweise einbezogene Straßengrundstück Flst. Nr. 14510/3 („Breitenflur“) und die einbezogenen Grundstücke Flst. Nr. 14423/4, 14391 und 14385;
im Westen: durch das außerhalb liegende Grundstück Flst. Nr. 14369 und das außerhalb liegende Straßengrundstück Flst. Nr. 14316 (Dienstadter Straße).
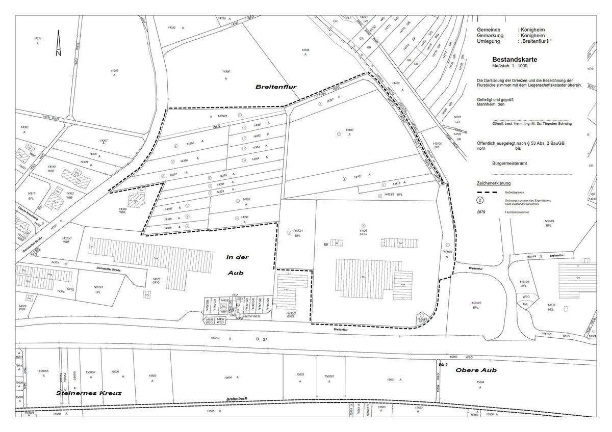
Das Umlegungsgebiet ist in der Bestandskarte dargestellt. In das Verfahren sind folgende Grundstücke (Flurstücke) der Gemarkung Königheim einbezogen:
Flst. Nr.: 14354, 14360/1, 14361, 14362, 14363, 14364, 14365, 14366, 14367, 14385, 14386, 14387, 14391, 14392, 14393, 14394, 14395, 14397, 14400, 14407, 14418, 14423, 14423/3, 14423/4, 14423/5 und 14510/3 (hiervon ist ein mittlerer Teil mit einer Fläche von ca. 1.058 m² einbezogen).
Die Umlegung trägt die Bezeichnung „Breitenflur II“.
Das Umlegungsgebiet liegt im Bereich der rechtskräftigen Bebauungspläne „Breitenflur“ und „Breitenflur II“.
Durch die Umlegung sollen die im Umlegungsgebiet liegenden Grundstücke in der Weise neu geordnet werden, dass nach Lage, Form und Größe für die Bebauung und sonstige Nutzung zweckmäßig gestaltete Grundstücke entstehen.
II. Durchführung
Die Durchführung der Umlegung obliegt gemäß § 3 Abs. 1 der Verordnung der Landesregierung des Ministeriums für Verkehr und Infrastruktur und des Finanz- und Wirtschaftsministeriums zur Durchführung des BauGB (BauGB-DVO) vom 2. März 1998 (GBl. S. 185), zuletzt geändert durch Verordnung vom 21. Dezember 2021 (GBl. 2022 S. 1, 19), in Verbindung mit dem Anordnungsbeschluss des Gemeinderates vom 20.12.2021, dem Umlegungsausschuss „Breitenflur II“ der Gemeinde Königheim.
III. Aufforderung zur Anmeldung von Rechten
Die Inhaber eines nicht im Grundbuch eingetragenen Rechts an dem Grundstück oder an einem das Grundstück belastenden Recht, eines Anspruchs mit dem Recht auf Befriedigung aus dem Grundstück oder eines persönlichen Rechts, das zum Erwerb, zum Besitz oder zur Nutzung des Grundstücks berechtigt oder den Verpflichteten in der Benutzung des Grundstücks beschränkt, werden aufgefordert, innerhalb eines Monats von dieser Bekanntmachung an, ihre Rechte beim Umlegungsausschuss „Breitenflur II“ der Gemeinde Königheim, Kirchplatz 2, 97953 Königheim, anzumelden.
Werden Rechte erst nach Ablauf dieser Frist angemeldet oder nach Ablauf einer vom Umlegungsausschuss gesetzten Frist glaubhaft gemacht, so muss der Berechtigte die bisherigen Verhandlungen und Festsetzungen gegen sich gelten lassen, wenn der Umlegungsausschuss dies bestimmt. Der Inhaber eines in Absatz 1 bezeichneten Rechts muss die Wirkung eines vor der Anmeldung eingetretenen Fristablaufs ebenso gegen sich gelten lassen wie der Beteiligte, dem gegenüber die Frist durch Bekanntmachung des Verwaltungsaktes zuerst in Lauf gesetzt worden ist.
IV. Verfügungs- und Veränderungssperre sowie Vorkaufsrecht der Gemeinde
Von dieser Bekanntmachung an bis zur Bekanntmachung der Unanfechtbarkeit des Umlegungsplans dürfen nach § 51 BauGB im Umlegungsgebiet nur mit schriftlicher Genehmigung des Umlegungsausschusses
- ein Grundstück geteilt oder Verfügungen über ein Grundstück und über Rechte an einem Grundstück getroffen oder Vereinbarungen abgeschlossen werden, durch die einem anderen ein Recht zum Erwerb, zur Nutzung oder Bebauung eines Grundstücks oder Grundstücksteils eingeräumt wird, oder Baulasten neu begründet, geändert oder aufgehoben werden;
- erhebliche Veränderungen der Erdoberfläche oder wesentliche wertsteigernde sonstige Veränderungen der Grundstücke vorgenommen werden;
- nicht genehmigungs-, zustimmungs- oder anzeigepflichtige, aber wertsteigernde bauliche Anlagen errichtet oder wertsteigernde Änderungen solcher Anlagen vorgenommen werden;
- genehmigungs-, zustimmungs- oder anzeigepflichtige bauliche Anlagen errichtet oder geändert werden.
Vorhaben, die vor dem Inkrafttreten der Veränderungssperre baurechtlich genehmigt worden oder auf Grund eines anderen baurechtlichen Verfahrens zulässig sind, Unterhaltsarbeiten und die Fortführung der bisher ausgeübten Nutzung werden von der Veränderungssperre nicht berührt.
Ein bei der Gemeinde Königheim eingereichtes Baugesuch gilt gleichzeitig als Antrag auf Genehmigung durch den Umlegungsausschuss.
Nach § 24 Abs. 1 Nr. 2 BauGB steht der Gemeinde Königheim beim Kauf von Grundstücken, die in dieses Verfahren einbezogen sind, von dieser Bekanntmachung an bis zur Bekanntmachung der Unanfechtbarkeit des Umlegungsplans ein gesetzliches Vorkaufsrecht zu.
V. Vorarbeiten auf Grundstücken
Eigentümer und Besitzer haben nach § 209 Abs.1 BauGB zu dulden, dass Beauftragte der zuständigen Behörden zur Vorbereitung der von ihnen nach diesem Gesetzbuch zu treffenden Maßnahmen Grundstücke betreten und Vermessungen oder ähnliche Arbeiten ausführen.
VI. Bekanntgabe des Umlegungsbeschlusses
Der Umlegungsbeschluss gilt mit dem auf die ortsübliche Bekanntmachung folgenden Tag als bekanntgegeben.
VII. Rechtsbehelfsbelehrung
Gegen den Umlegungsbeschluss kann binnen sechs Wochen seit der Bekanntgabe Antrag auf gerichtliche Entscheidung bei der Gemeinde Königheim, Kirchplatz 2, 97953 Königheim, eingereicht werden (§ 217 BauGB). Über den Antrag entscheidet das Landgericht Karlsruhe, Kammer für Baulandsachen, in Karlsruhe.
Der Antrag muss den Verwaltungsakt bezeichnen, gegen den er sich richtet. Er soll die Erklärung, inwieweit der Umlegungsbeschluss angefochten wird, und einen bestimmten Antrag enthalten. Er soll die Gründe, sowie die Tatsachen und Beweismittel angeben, die zur Rechtfertigung des Antrags dienen.
Hinweis: Es wird darauf hingewiesen, dass der Antrag auf gerichtliche Entscheidung ohne Rechtsanwalt gestellt werden kann, dass aber für die weiterführenden prozessualen Erklärungen in der Hauptsache der Antragsteller sich eines vertretungsberechtigten Rechtsanwalts bedienen muss (§ 222 Abs. 3 BauGB).
VIII. Öffentliche Auslegung der Bestandskarte und des Bestandsverzeichnisses
Für die Grundstücke des Umlegungsgebiets wurden eine Bestandskarte und ein Bestandsverzeichnis nach § 53 BauGB gefertigt. Bestandskarte und Bestandsverzeichnis liegen in der Zeit vom 21.11.2022 bis 20.12.2022 im Rathaus der Gemeinde Königheim, Kirchplatz 2, 97953 Königheim, öffentlich aus und können während der Dienststunden dort eingesehen werden.
Königheim, den 08.11.2022
gez.
Bürgermeister Ludger Krug
Vorsitzender des Umlegungsausschusses „Breitenflur II“
